Lauderdale County in talks for second data center investment
Published 7:24 am Sunday, February 15, 2026
Lauderdale County residents may soon see construction in the Sonny Montgomery Industrial Park as talks are underway to bring a second data center to the area.

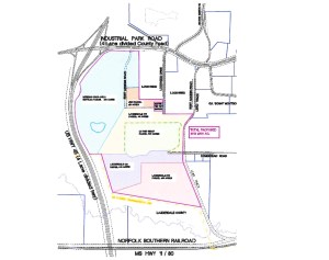
A map included in public documents related to the Echelon deal shows the 300 acres where a future dat center may be located.
According to public records, county officials and Echelon Data Centres, a data center company based in Dublin, Ireland, have signed a letter of intent for Echelon to purchase approximately 300 acres of land south of Northeast Industrial Park Road.
The property includes the old Loblolly site and stretches from Highway 45 on the west side to the railroad tracks on the east. The five-parcel purchase includes county-owned land as well as property owned by Meridian Coca-Cola.
A purchase agreement for the property lists the sale price at $20,000 per acre, which is approximately $6 million in all.
Public records show Echelon is also working with Mississippi Power to provide approximately 500 mega volt-amperes to power the site.
If finalized, the deal would be Lauderdale County’s second data center project, following just over a year after local and state officials announced a $10 billion investment from Compass Data Centers to build an eight-center data campus in the Key Brother’s Industrial Park, just south of the proposed Echelon site.
